Home Grond 2260 Westerlo
Gevaertlaan



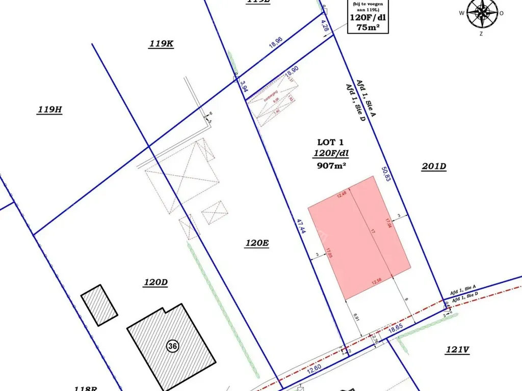
immo Kaart

Gevaertlaan , 2260 Westerlo

Grond in Westerlo
983 m² perceel
€169.000

Gevaertlaan - 2260 Westerlo - Mooie bouwgrond van 983m² voor een open bebouwing.
Gelegen nabij het centrum van Zoerle-Parwijs. Een topverbinding met de E313 en scholen, winkels, openbaar vervoer zijn vlakbij. Het perceel beschikt over een noordwestgerichte tuin en heeft een straatbreedte van 18,65m en een diepte van ca. 55,11m. (Gvg, Wglkr,Gmo, Gvkr, Vv) Graag de bouwvoorschriften of meer informatie? immo@degroot-celen.be
“overstromingsgevoeligheid: P-score klasse A ”

Kenmerken
Status: Het lijkt erop dat dit zoekertje niet meer beschikbaar is.

Financieel
Vraagprijs
€ 169.000
Algemeen
Type
Grond
Grond oppervlakte
983 m2
Referentie
IHUQA4DJQTDN
Makelaar Code
6016989
Ruimtelijke Ordening
Stedenbouwk. vergunning
Nee
Dagvaarding uitgebracht
Nee - geen rechterlijke herstelmaatregel of bestuurlijke maatregel opgelegd
Rechterlijke beslissing
n/a
Voorkooprecht
Nee
Verkavelingsvergunning
Ja
Bestemming
Woongebied met landelijk karakter
Overstromingsgebied
Niet gelegen in een overstromingsgevoelig gebied
Prijs Geschiedenis
11 Jun 2024
€169.000 / De Groot & Celen

Meld u hier GRATIS aan om de extra informatie en prijshistoriek te bekijken van de

Gevaertlaan , 2260 Westerlo.


Interesse wanneer dit pand opnieuw te koop staat? Laat uw gegevens hier achter en blijf op de hoogte.
Door het invullen van dit formulier gaat u akkoord met de gebruiksvoorwaarden en privacy van Immospeurder.com