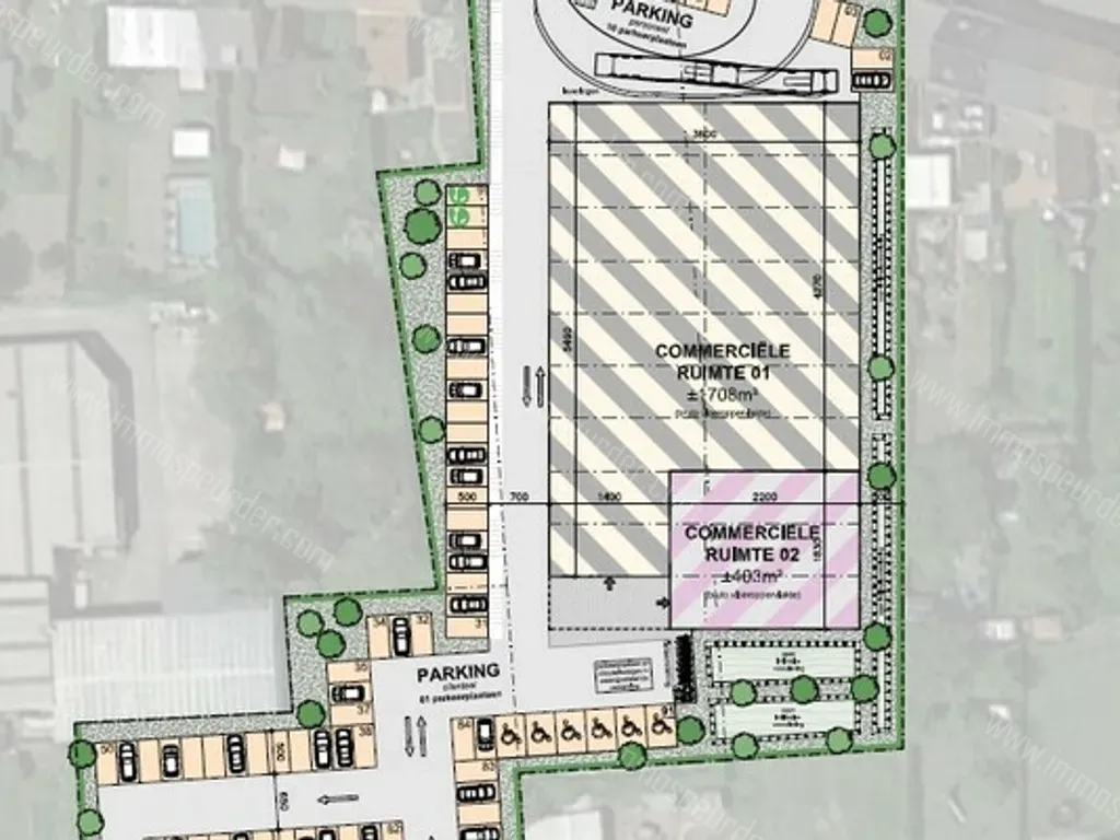
Home Verhuurd Handelspand 1745 Opwijk
Nieuwstraat 17-19



immo Kaart

Nieuwstraat 17-19, 1745 Opwijk

Handelspand Verhuurd in Opwijk
Prijs op aanvraag
Kenmerken
Status: Het lijkt erop dat dit zoekertje niet meer beschikbaar is.

Financieel
Vraagprijs
Prijs op aanvraag
Algemeen
Type
Handelspand
Referentie
T-NXFA89D5-O

Meld u hier GRATIS aan om de extra informatie en prijshistoriek te bekijken van de

Nieuwstraat 17-19, 1745 Opwijk.


Interesse wanneer dit pand opnieuw te huur staat? Laat uw gegevens hier achter en blijf op de hoogte.
Door het invullen van dit formulier gaat u akkoord met de gebruiksvoorwaarden en privacy van Immospeurder.com