Home Te Koop Grond 2890 Puurs-Sint-Amands
Marthe Massinstraat 10



immo Kaart

Marthe Massinstraat 10, 2890 Puurs-Sint-Amands

Grond Te Koop in Puurs-Sint-Amands
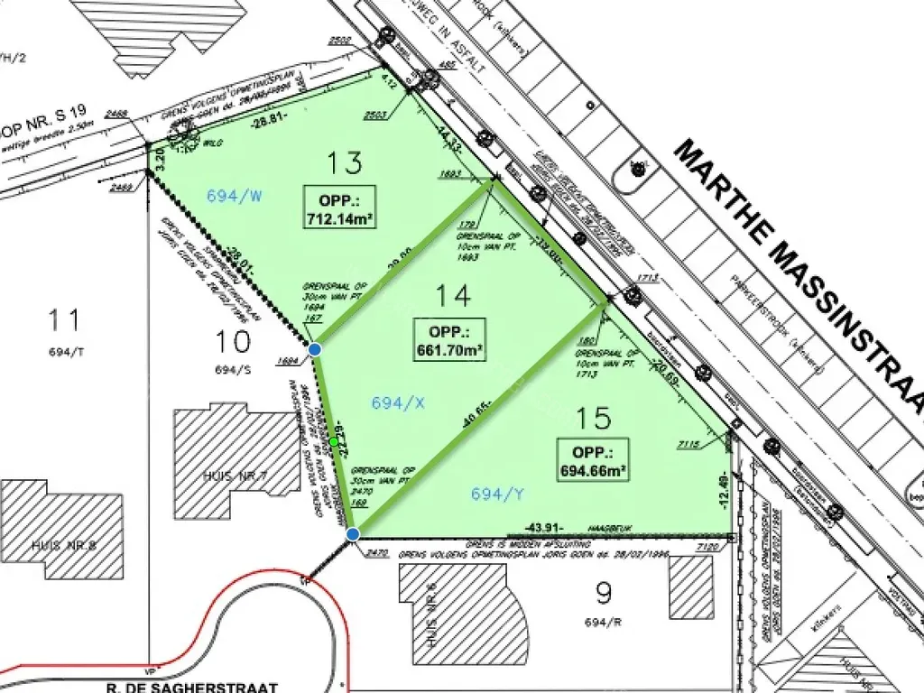
661 m² perceel
€279.000

Marthe Massinstraat 10 - 2890 Puurs-Sint-Amands - Omschrijving Bouwgrond voor open bebouwing op 661m2 Ben je op zoek naar een ideale plek om je droomhuis te bouwen? Deze bouwgrond van 662 vierkante meter in de Marthe Massinstraat biedt volop mogelijkheden! Gelegen in hartje Sint-Amands op minder als een kilometer van de kaai, dichtbij alle voorzieningen. Alle nutsvoorzieningen zijn reeds aanwezig en is er ook een attest van een sondering beschikbaar!
Neem gerust contact met ons op voor meer info. 052/46.38.03

Kenmerken
Financieel
Vraagprijs
€ 279.000
Algemeen
Type
Grond
Grond oppervlakte
661 m2
Referentie
TTARAB943A26
Makelaar Code
Marthe Massinstraat, lot 14, P
Ruimtelijke Ordening
Stedenbouwk. vergunning
n/a
Dagvaarding uitgebracht
n/a
Rechterlijke beslissing
n/a
Voorkooprecht
Neen
Verkavelingsvergunning
Ja
Bestemming
n/a
Overstromingsgebied
n/a
Prijs Geschiedenis
13 Jun 2024
€279.000 / Uw-Huis.be
06 Jun 2024
€270.200 / Uw-Huis.be

Meld u hier GRATIS aan om de extra informatie en prijshistoriek te bekijken van de

Marthe Massinstraat 10, 2890 Puurs-Sint-Amands.


Door het invullen van dit formulier gaat u akkoord met de gebruiksvoorwaarden en privacy van Immospeurder.com