Home Te Koop Grond 2870 Puurs
Zavelstraat 13



immo Kaart

Zavelstraat 13, 2870 Puurs

Grond Te Koop in Puurs
1.331 m² perceel
€310.000

Zavelstraat 13 - 2870 Puurs - Ruime perceel voor Open Bebouwing te Breendonk!

Bent u opzoek naar een bouwgrond voor het realiseren van een villawoning? Lees dan zeker verder.

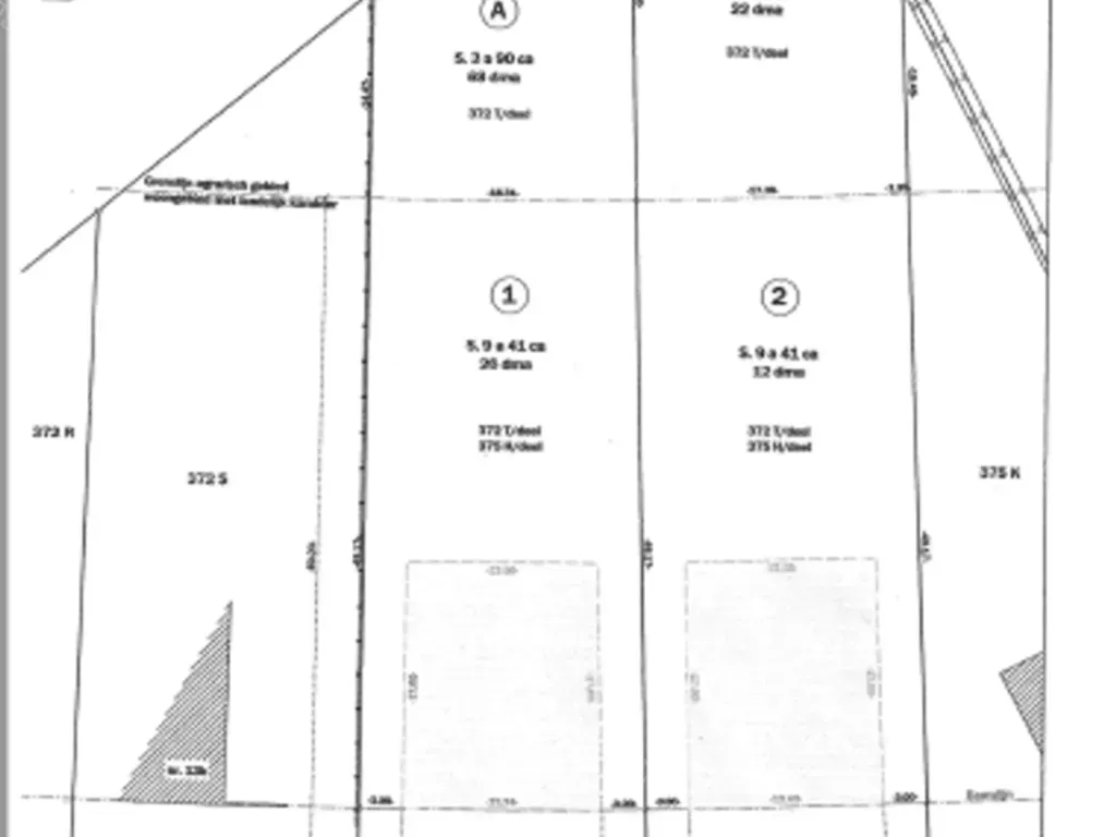
Deze bouwgrond van ruim 13 are is gelegen in een zeer rustige straat in een groene omgeving.

Bouwvoorschriften: gevelbreedte van 13,74m en een bouwdiepte van 17m op het gelijkvloers.

Meer info: sofie@immotijl.be of 052 690 691

Kenmerken
Financieel
Vraagprijs
€ 310.000
Algemeen
Type
Grond
Grond oppervlakte
1.331 m2
Referentie
2PQNV52JL2PS
Makelaar Code
5951553
Prijs Geschiedenis
16 Apr 2024
€310.000 / Immo Tijl

Meld u hier GRATIS aan om de extra informatie en prijshistoriek te bekijken van de

Zavelstraat 13, 2870 Puurs.


Door het invullen van dit formulier gaat u akkoord met de gebruiksvoorwaarden en privacy van Immospeurder.com