Home Grond 2910 Essen
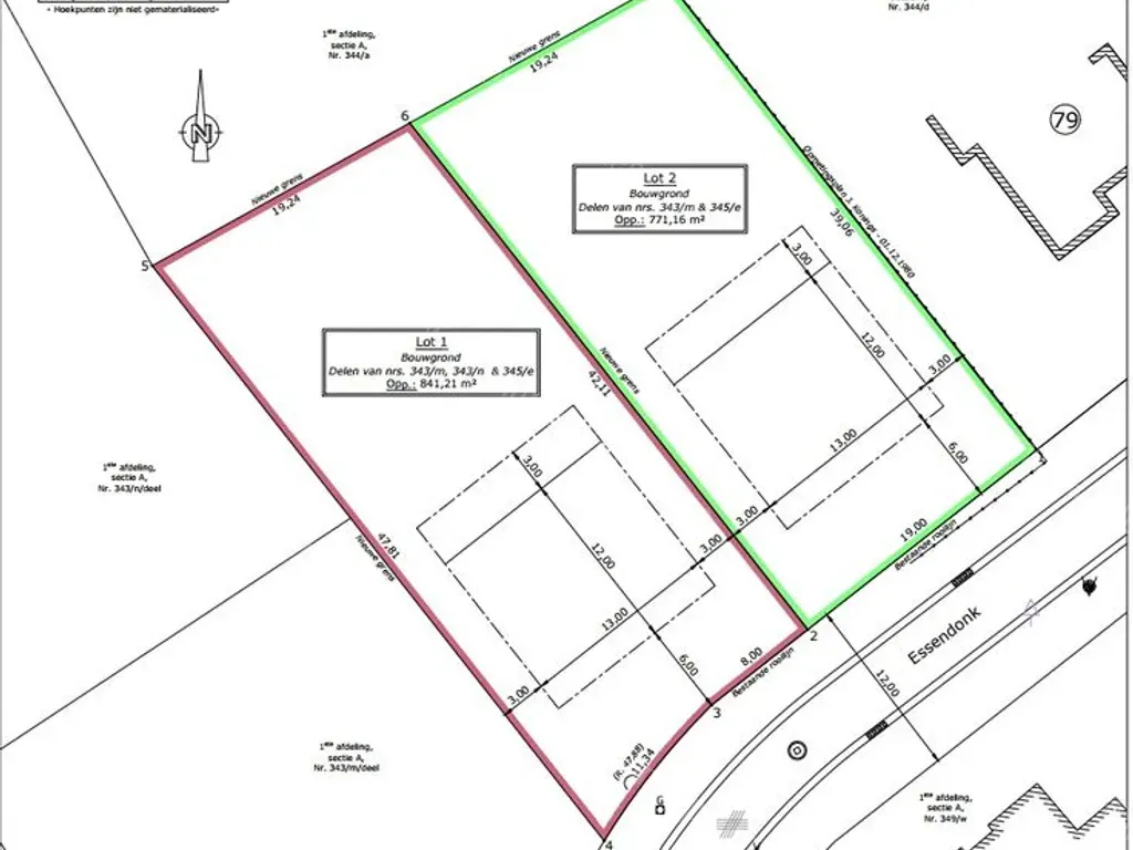
Essendonk 73



immo Kaart

Essendonk 73, 2910 Essen

Grond in Essen
771 m² perceel
€257.000

Essendonk 73 - 2910 Essen - Prachtig stuk grond op toplocatie in Essen centrum voor een open bebouwing. het stuk is 19 meter breed en 38.5 meter diep gelegen te Essendonk.
voor meer info 0474827038

Kenmerken
Status: Het lijkt erop dat dit zoekertje niet meer beschikbaar is.

Financieel
Vraagprijs
€ 257.000
Algemeen
Type
Grond
Grond oppervlakte
771 m2
Referentie
5PM7S58U4OTS
Prijs Geschiedenis
07 Mar 2024
€257.000 / Particulier

Meld u hier GRATIS aan om de extra informatie en prijshistoriek te bekijken van de

Essendonk 73, 2910 Essen.


Interesse wanneer dit pand opnieuw te koop staat? Laat uw gegevens hier achter en blijf op de hoogte.
Door het invullen van dit formulier gaat u akkoord met de gebruiksvoorwaarden en privacy van Immospeurder.com